Description
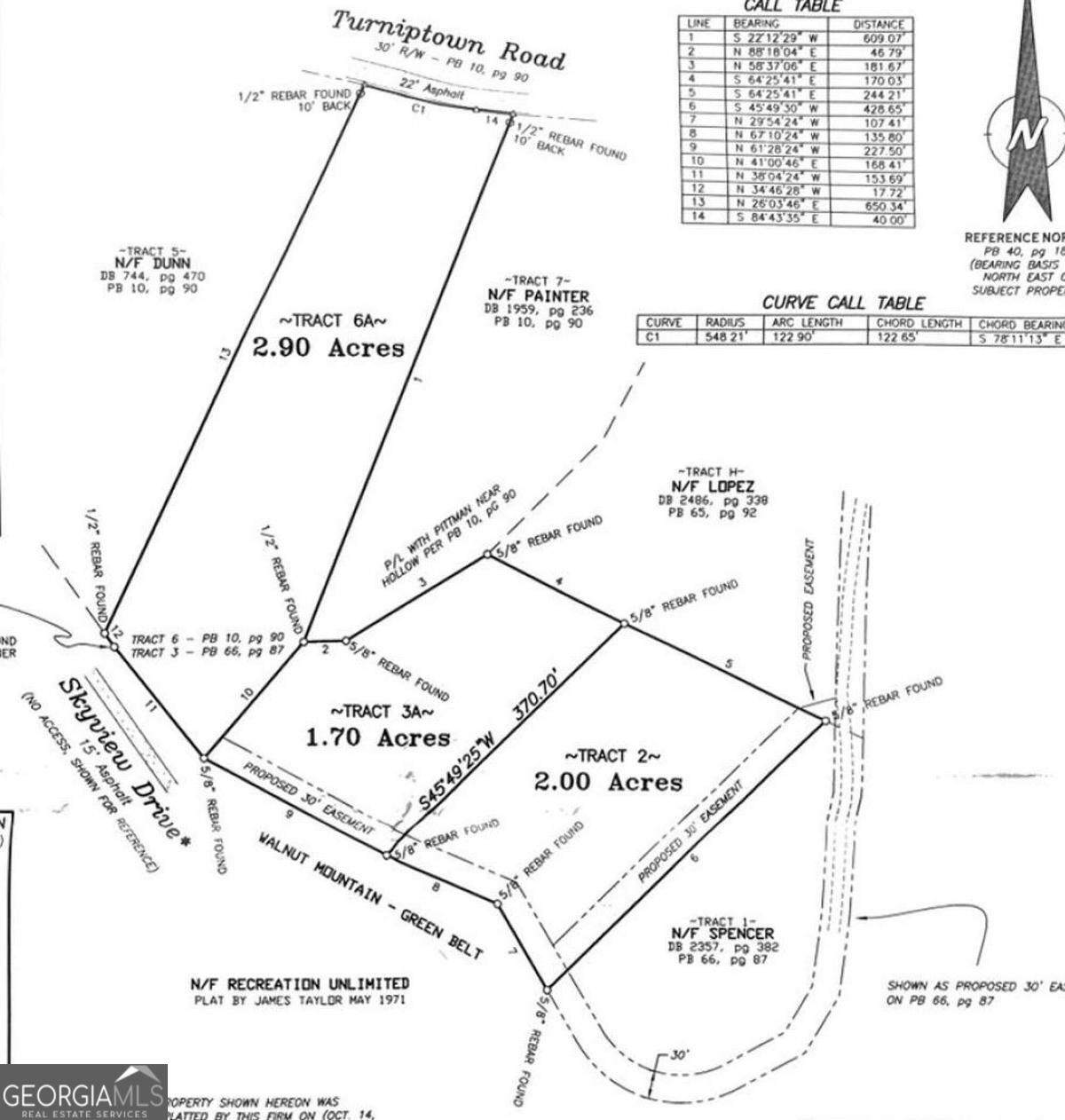
UNRESTRICTED LAND with seasonal layered mountain views! Graveled driveway already cut in, you'll love ascending this well-maintained driveway to the top where you will find a private access drive and be able to easily see beautiful mountain views through the trees. Once cleared you may have some unobstructed views! Located past Walnut Mountain on Turniptown Rd you can experience privacy, nature, sounds of Turniptown Creek across the road, and still be just a few minutes from Ellijay! Power available from pole in Walnut Mountain. Dig a well, or possibly have access to county water. A water line has been run from Turniptown Rd across Tract 2 and Tract 3 and is possibly shareable with an agreement between owners of those lots (meter & usage), or you may add your own line from Turniptown. Surveyed and lot lines are marked. The access drive across the top of the property connects TR 2 & TR 3 and both lots back up against the Walnut Mountain Green Belt. Part of the driveway is on a permanent easement - see photos for approximate location and plat map. Additional acreage available see listings for TR6.
-
0BEDS
-
1.7ACRES
-
0BATHS
-
01/2 BATHS
School Information
Description
UNRESTRICTED LAND with seasonal layered mountain views! Graveled driveway already cut in, you'll love ascending this well-maintained driveway to the top where you will find a private access drive and be able to easily see beautiful mountain views through the trees. Once cleared you may have some unobstructed views! Located past Walnut Mountain on Turniptown Rd you can experience privacy, nature, sounds of Turniptown Creek across the road, and still be just a few minutes from Ellijay! Power available from pole in Walnut Mountain. Dig a well, or possibly have access to county water. A water line has been run from Turniptown Rd across Tract 2 and Tract 3 and is possibly shareable with an agreement between owners of those lots (meter & usage), or you may add your own line from Turniptown. Surveyed and lot lines are marked. The access drive across the top of the property connects TR 2 & TR 3 and both lots back up against the Walnut Mountain Green Belt. Part of the driveway is on a permanent easement - see photos for approximate location and plat map. Additional acreage available see listings for TR6.
Related Properties
© 2026 Georgia Multiple Listing Service, Inc. All rights reserved. The data relating to real estate for sale or lease on this web site comes in part from GAMLS. Real estate listings held by brokerage firms other than Rettro Group | Century 21 Novus are marked with the GAMLS logo or an abbreviated logo and detailed information about them includes the name of the listing broker. IDX information is provided exclusively for consumers' personal, non-commercial use and may not be used for any purpose other than to identify prospective properties consumers may be interested in purchasing. Information is deemed reliable but is not guaranteed accurate by GAMLS or Rettro Group | Century 21 Novus. Data last updated: 2026-03-16T08:09:44.323.